
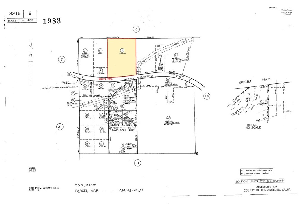
MAJOR PRICE REDUCTION!!!!! 13+/- Acres PRIME flat land right on Sierra Hwy. which goes from 68 Street West (Sierra Summit) to 69 Street West with 671' frontage on Sierra highway. Electricity, phone, and Gas on the Street, The lot is perfect for custom estate homes, horse property, ranch site or subdivide it to multiple parcels. Developers Dream. On the border of Acton & Agua Dulce, one of the most desirable areas in the valley. There is quick access to the 14 freeway. Shopping and community services are easily available. There is a dynamic view of the Acton Valley and surrounding mountains. This property is Adjacent to 6917 Sierra Hwy. Agua Dulce, CA 91390. You may also google the following GPS coordinates to locate the property: 34.523203 -118.252213
The multiple listing data appearing on this website, or contained in reports produced therefrom, is owned and copyrighted by California Regional Multiple Listing Service, Inc. ("CRMLS") and is protected by all applicable copyright laws. Information provided is for viewer's personal, non-commercial use and may not be used for any purpose other than to identify prospective properties the viewer may be interested in purchasing. All listing data, including but not limited to square footage and lot size is believed to be accurate, but the listing Agent, listing Broker and CRMLS and its affiliates do not warrant or guarantee such accuracy. The viewer should independently verify the listed data prior to making any decisions based on such information by personal inspection and/or contacting a real estate professional.
Based on information from California Regional Multiple Listing Service, Inc. as of the most recent time synced and /or other sources. All data, including all measurements and calculations of area, is obtained from various sources and has not been, and will not be, verified by broker or MLS. All information should be independently reviewed and verified for accuracy. Properties may or may not be listed by the office/agent presenting the information
Last Updated: . Source: CRMLS
Provided By
Listing Agent: Richard Khatibi (#F210076281)
Listing Office: Rich Estate Props (#F3843001)
Provided By (Buyer)
Buyer's Agent: Adrian Sillas (#RSILLADR)
